
3D点群データの可視化を革新、直感的操作で誰でも使える点群ビューアーシステム
3D Point Studio®点群ビューアー

LiDARデータの可能性を最大限に引き出す、直感的な3D可視化システム
本プロジェクトは、LiDARで採取された点群データ(建物、道路、オブジェクトなどの3D点の集合)を効率的に可視化・分析するための3D点群ビューアーシステムの開発です。従来の点群データは専門的な知識が必要でしたが、様々な業界や用途で活用できるよう、直感的な操作を可能にしました。点の距離測定や道路幅の計測など、3D空間での精密な分析機能を提供しています。
点群データとは?
点群データとは、3D空間内の物体表面を無数の点で表現したデータ形式です。LiDAR(Light Detection and Ranging)というレーザー測距技術により、建物、道路、樹木、地形などの物体表面を数千万から数億個の点でスキャンし、各点の3D座標(X、Y、Z)と色情報を記録します。これにより、現実世界の3D形状をデジタルデータとして正確に再現することができます。従来の2D地図や写真では表現できない立体構造や詳細な形状情報を取得できるため、都市計画、土木工事、森林調査、考古学調査など、幅広い分野で活用されています。
テクノクレアが担当した工程と技術領域
- ・要件定義
- ・UI/UX設計
- ・概要設計
- ・基本設計・詳細設計
- ・アプリケーション開発
- ・テスト・運用
- ※担当者とパートナー様と協力して開発
技術スタック
- 開発言語・フレームワーク
- ・OpenGL
- ・C++
- システム構成
- ・3D点群ビューアーアプリケーション
- ・LiDARデータ処理機能
- ・3D可視化エンジン
- ・測定・分析機能
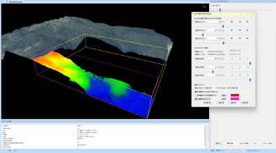
現場で活用されているシステム画面
使いやすさを支える工夫
-
01直感的な3D操作
PCが得意でない方でも迷わず使えるよう、操作のわかりやすさに配慮しました。3D空間での視点変更やズーム操作を誰でも自然に行えるように設計しています。
-
02視覚的な測定機能
点の距離測定や道路幅の計測など、3D空間での精密な分析を視覚的に分かりやすく表示する機能を実装しています。
-
03高精度な点群表示
LiDARで採取された大量の点群データを、高精度で滑らかに表示する技術を実装しました。
-
04業界特化型分析機能
様々な業界のニーズに対応した分析機能を提供し、用途に応じたカスタマイズが可能です。
デザイン・UXへのこだわり

使いやすさを追求した操作設計
専門的な点群データを、誰でも迷わず操作できるインターフェースを重視しました。PCに詳しくない人でも自然に使えるよう、マニュアル不要の設計思想で開発を進めました。3D空間での操作は複雑になりがちですが、シンプルで分かりやすいインターフェースにより、専門知識がなくても高度な点群分析ができるように設計しています。
プロジェクト成果とクライアントからの評価

ユーザビリティがもたらした改善効果
従来は専門的な知識が必要だった点群データの可視化・分析が、誰でも簡単に操作できるようになりました。様々な業界や用途での活用が可能になり、業務効率の大幅な向上を実現しています。

信頼と満足がつなぐ未来への道筋
不具合報告が少なく、品質の高さに満足していただいたと理解しています。今後はさらにアップデートの予定があり、より多くの点群を表示できるような機能拡張の展望があります。
担当者コメント
3D点群データの可視化という専門的な領域において、直感的な操作を実現することに最も苦労しました。OpenGLを使用した3D表示技術の最適化や、大量の点群データを滑らかに表示するためのパフォーマンス調整が大きな課題でした。また、PCに詳しくない人でも使えるよう、UI設計には特にこだわり、マニュアル不要の操作を実現するために多くの工夫を重ねました。要件定義から設計、開発まで一貫して担当し、クライアントの要望に柔軟に対応しながら、高品質なシステムを提供できたと考えています。